満月🌕の中、バチコン便🐟で出船しました🛥️
明るい時間に根魚キャッチ🎵
前半は魚探に反応が入ってもなかなか口を使ってくれず、あたっても単発ばかり
時間が経過し、月が高くなってきた途端にスイッチが入り地合い突入‼︎
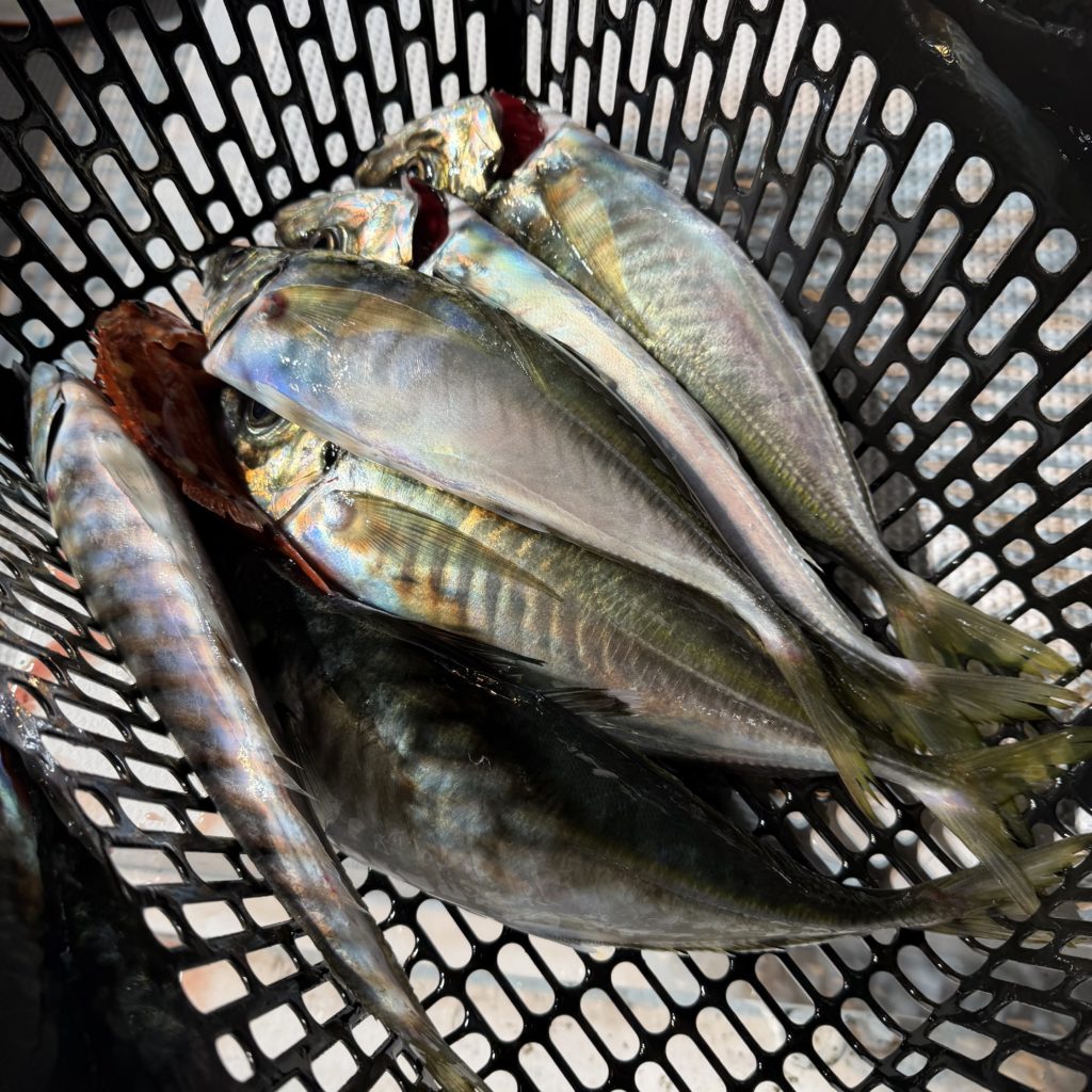
何とかお土産は確保出来ました🙌
サイズも良く体高のあるアジでした😋
ご乗船いただきありがとうございました🙇♂️
船長 中世古正純
【電話受付】 午前9:00~午後10:00 当日予約OK
お問い合わせ
アクセス
予約状況